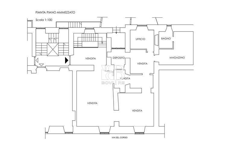
Locale commerciale in affitto, Centro Storico

Via del Corso - Roma - Centro Storico Rif. 1826B
  • 440 mq
  • 10 locali
€ 42.000,00/mese
Descrizione
Centro Storico, negozio in affitto su Via del Corso, tre vetrine fronte strada, mq complessivi 440 ca., ottimo per grandi brand. Rif. 1826B Tel. 06/83964019

Centro Storico, shop for rent on Via del Corso, three windows facing the street, total approx. 440 square meters, excellent for large brands. Ref.1826B Tel. 06/83964019

Centro Storico, local comercial en renta en Via del Corso, tres ventanas a la calle, total aprox.440 metros cuadrados, excelente para grandes marcas. Ref.1826B Tel. 06/83964019

  • Contratto: Affitto
  • Tipo proprietà: Intera proprietà
  • Prezzo: € 42.000,00/mese
  • Classe catastale: C/1
  • Anno di costruzione: 1800
  • Tipo di costruzione: Signorile
  • Stato di costruzione: Buono
  • Stato immobile: Libero
  • N. servizi igienici: 1
  • Tipo cucina: Non presente
  • Piani edificio: 4
  • Piano fuori terra: Terra
  • Cantina: Assente
  • Giardino privato: Assente
  • Riscaldamento: Assente
  • Climatizzatore: Assente
  • Classe energetica: G
  • Indice di prestazione energetica da rinnovabili: 175 kWh/m2anno
  • Livello estate: buono
  • Livello inverno: buono

Mappa